? 公告公示-bet36365官网
您当前的位置: 首页 > 政务公开 > 公告公示

郑州经济技术开发区经南十五路道路工程建设工程(交通)规划许可证批前公示

来源:bet36365官网管委会 日期:2017-12-26 10:53 点击量:

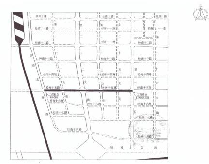
项目名称:经南十五路(二十二大街-二十五大街)道路工程   

类   型:批前公示                                      

公示类别:建设工程(交通)规划许可证公示                

建设单位:郑州经济技术开发区建设投资有限公司            

用地位置:二十二大街-二十五大街                          

公示期限:10日                                           

公示日期:2017年12月25日至2018年1月6日               

经办处室单位:郑州市城乡规划局经济技术开发区分局            

咨询电话:0371-66781321                                

经办人:陈先生                                           

查询详细内容,请出示身份证明,到我局办理相关手

续后查询。依据《城乡规划法》、《行政许可法》、《河    

附加说明:南省城市规划公示制度》等有关法律法规,特此公示。

如有意见和建议,请于公示时间内向我局反馈。电话:

0371-66781321。                                   

详细内容:区位图,断面图,说明                           


郑州经济技术开发区经南十五路道路工程《建设工程(交通)规划许可证》批前公示

 

道路标准横断面设计图

 

工程区位图

说明:经南十五路位于郑州经济技术开发区,道路呈东西走向,规划为城市主干路。道路设计全长792.421米。道路红线标准宽度为50米,标准断面布置为50m(红线)=3.5m(人行道)+4.5m(非机动车道)+2m(边绿化带)+12m(机动车道)+6m(中央绿化带)+12m(机动车道)+2m(边绿化带)+4.5m(非机动车道)+3.5m(人行道)。


?
网站首页 - 网站地图 - wap网操作指南页
Copyright(C) bet36365官网管委会 主办 豫ICP备11018640号

豫公网安备 41019602002122号


网站标识码:4101910001
版权所有:bet36365官网管委会 联系电话:0371-86623166